| Objekte
|
obj |
Tuchfabrik |
| OBJ-Dok-Nr. |
5000:Text |
09125450 |
| Kreis |
5098:Text |
Spree-Neiße |
| Gemeinde |
5100:Text |
Forst (Lausitz) |
| Ort |
5108:Text |
Forst (Lausitz) |
| sorbisch |
5115:Text |
Baršć (Łužyca) |
Straße
|
5116:Text |
Heinrich-Werner-Straße, 15 |
| Hausnummer |
5117:Text |
15 |
| Lage |
5125:Text |
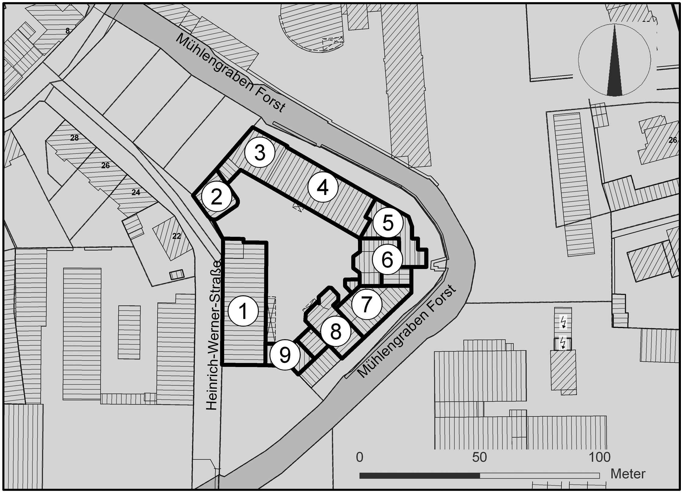
Die Baulichkeiten erstrecken sich in einem geschlossenen dreiseitigen Fabrikhof, zwischen Heinrich-Werner-Straße und Mühlgraben |
| Bauw-Name |
5202:Text |
Tuchfabriken C. H. Pürschel |
| Sachbegriff |
5230:Text |
Tuchfabrik |
Dat-Art
|
5060:Text |
Datierung, 1924 & 1929 & 1934 |
| num. Dat. |
5064:Text |
1924 & 1929 & 1934 |
Detail-Sachbegr.
|
5930:Text |
Gleisanlage, Reste von den ursprünglichen Gleisanlagen der Forster Stadteisenbahn in der Einfahrt und im Hof |
| Det-Besch. |
5944:Text |
Reste von den ursprünglichen Gleisanlagen der Forster Stadteisenbahn in der Einfahrt und im Hof |
Detail-Sachbegr.
|
5930:Text |
Einfriedung, an der Heinrich-Werner-Straße nördlich an das Fabrikgebäude anschließend Klinkersockel und Zaunfeld sowie Klinkertorpfeiler,
zweiflügeliges Tor mit Radabweisern aus Stein
|
| Det-Besch. |
5944:Text |
an der Heinrich-Werner-Straße nördlich an das Fabrikgebäude anschließend Klinkersockel und Zaunfeld sowie Klinkertorpfeiler,
zweiflügeliges Tor mit Radabweisern aus Stein
|
Bez-Person
|
ob40:Text |
Bauherr, Pürschel, C.? H.?, Tuchfabrikant, Gründer der Tuchfabrik 1878 mit zunächst Standort bis 1924 in der Haagstraße 13 |
| Name |
4100:Text |
Pürschel, C.? H.? |
| ber. Funkt. |
4475:Text |
Tuchfabrikant |
| Per-Komm. |
4498:Text |
Gründer der Tuchfabrik 1878 mit zunächst Standort bis 1924 in der Haagstraße 13 |
| Ausw-Art |
9456:Text |
ED |
| Bezeichnung |
9990:Text |
Tuchfabriken C. H. Pürschel |
Lit-Kurzt.
|
8330:Text |
Denkmaltopographie Spree-Neiße, Bd. 16.1, 2012, S. 101 ff, 09125450 |
| Stelle |
8334:Text |
S. 101 ff |
| Beschreibung |
8336:docPage |
09125450.pdf |
WEB-Bilder
|
99PD:ImageRef |
SPN-Forst-HWernerStr15-LPlan_KS_2011.jpg, 2011 |
| AufnDat |
99AD:Text |
2011 |
| Urh-Instit. |
9902:Text |
BLDAM |